Active
6913 Lozier StreetHouston, 77021
$1,850,000
Listed 677 daysHome Summary
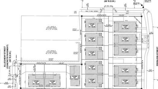
Spacious 0.35-acre land in Southland subdivision, Houston, with a lot size of 56,650 sqft.
56,650 sqft lot
Schedule a tour
Get more info
Property Type: Land
Presenting an outstanding development prospect, this property comprises 11 contiguous lots totaling approximately 56,000 sq. ft. The site benefits from existing infrastructure, with water and electricity already connected. Strategically located near The Medical Center, NRG Stadium, the University of Houston, Texas Southern University, and Downtown Houston, this property offers unparalleled convenience and accessibility. We encourage interested parties to verify all dimensions and details with HCAD.
0 down
Lot & Location: Split Possible
MLS #298482643Zip Line Realty, LLC
Southland Terrace Homes
More from Southland Terrace
Greater OST-South Union Homes
More from Greater OST-South Union