Active
0 Larkspur StreetHouston, 77033
$389,900
Listed 717 daysHome Summary
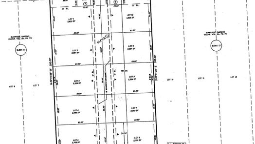
Build your dream investment properties in Houston's Larkspur Villas subdivision on this spacious 25,200 sqft lot.
25,200 sqft lot
Schedule a tour
Get more info
Property Type: Land
Major Market:
Sunnyside-Med Center SouthLocal Market:
Sunnyside-Med Center SouthSchool District:
Houston ISDSchool Zones
Fantastic 25,200 sq lot for Larkspur Villas!! Find it on Google as 5142 Larkspur. This is originally Lot 10 & 11, Block 17, of SUnnyside Gardens. Replat into 10 individual lots. Prefect for the investor to dream and build their next investment properties Larkspur Villas! You have easy access to major roadways! Less than 10 miles from Downtown and less than 5 miles from University of Houston!
0 down
Lot & Location: None, Subdivision
MLS #290751533Compass RE Texas, LLC - Houston
Sunnyside Gardens Homes
More from Sunnyside Gardens
Sunnyside-Med Center South Homes
More from Sunnyside-Med Center South